Por su presunta responsabilidad en los delitos de coalición y ejercicio indebido del servicio público, la Fiscalía General del Estado (FGE) de Tabasco cumplió una orden de aprehensión en contra de Jorge Adalberto “N”, ex servidor público de la administración estatal pasada en el Instituto de Protección Civil. Fue asegurado …
Leer másBanner 1
Taxis por Apps ganan terreno a los amarillos
Los usuarios confían más en la movilidad que se registra en plataformas electrónicas, que cuenta con botones de pánico, centro de atención y las opciones para conocer la información del conductor Villahermosa En una urbe petrolera del tamaño de Villahermosa, donde se realizan poco más de 650 mil viajes diariamente …
Leer másAMLO propone alternativas para impulsar servicio aéreo eficiente en el país
El presidente Andrés Manuel López Obrador indicó que el Gobierno de México analiza alternativas para impulsar un servicio aéreo eficiente acompañado de precios justos en el país. En conferencia de prensa matutina, el mandatario indicó que hay soluciones viables en el propósito de ampliar la oferta e incentivar la competencia, …
Leer másRealizan trabajos de reordenamiento vehicular en prolongación de Mina
La Secretaría de Ordenamiento Territorial y Obras Públicas (SOTOP) en coordinación con la Policía Estatal de Caminos (PEC) y la Secretaría de Movilidad (SEMOVI), realizan trabajos de reordenamiento vehicular en la prolongación de la avenida Francisco Javier Mina de la ciudad de Villahermosa, con el propósito de mejorar el flujo …
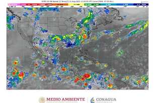
Leer másSe pronostican lluvias fuertes en regiones de Chiapas, Oaxaca, Puebla y Veracruz
Para este martes se pronostican lluvias puntuales fuertes (de 25 a 50 milímetros [mm]) en regiones de Chiapas, Oaxaca, Puebla y Veracruz; intervalos de chubascos (de 5 a 25 mm) en zonas de Campeche, Ciudad de México, Estado de México, Guerrero, Hidalgo, Michoacán, Morelos, Querétaro, Quintana Roo, San Luis Potosí, …
Leer másCosto aeroportuario no afecta al turismo
La Tarifa de Uso de Aeropuerto (TUA) autorizada en 2022 fue 6.2% más alta en relación al 2021, lo que se reflejó en un alza en el precio del pasaje Villahermosa Con una movilización promedio de casi 980 mil pasajeros al año, el Aeropuerto Internacional “Capitán Carlos A. Rovirosa” tiene …
Leer másFETAC: CINCO AÑOS DE GENERAR CAMBIO SOCIAL EN TABASCO
En el fraccionamiento Bicentenario el panorama es distinto al de hace un lustro gracias a la iniciativa de empresarios y a la voluntad de sus habitantes, quienes se han “autobeneficiado” del programa IntegraT, creado para hacer comunidad con valores Villahermosa Más de un centenar de niños salen de sus viviendas, …
Leer másInflación baja a 8.5 % en primera quincena de octubre, destaca AMLO
El presidente Andrés Manuel López Obrador informó que la inflación de la primera quincena de octubre en México bajó de 8.7 a 8.5 por ciento, de acuerdo con datos del Instituto Nacional de Estadística y Geografía (INEGI). “Es muy importante dar a conocer que, con las medidas que estamos tomando, …
Leer másAvanza Tren Maya en estación Edzná, Campeche y obras en Muelle Beacon de Puerto Progreso, Yucatán
El Tren Maya avanza en la cimentación de estructuras en la estación Edzná, Campeche, y en el Muelle Beacon, de Puerto Progreso, Yucatán, así como en el montaje de la segunda vía en Tixkokob y obras complementarias que darán funcionalidad al tren, como pasos ferroviarios, pasos de fauna, pasos generales, …
Leer másReconoce Carlos Merino a médicos
En el marco del Día del Médico, el gobernador Carlos Manuel Merino Campos encabezó la ceremonia de entrega de premios y reconocimientos a destacados doctores y doctoras del Instituto de Seguridad Social del Estado de Tabasco (ISSET), acto en el que extendió felicitaciones a todos los profesionales de la salud …
Leer más
Novedades de Tabasco El diario mas fuerte de Tabasco