El Gobierno de Tabasco a través de la Secretaría de Turismo participa con una destacada presencia en la edición número 28 del Festival del Eurochocolate que se realiza en la ciudad de Perugia, Italia. En este importante evento mundial, Tabasco está representando a México como país anfitrión con la participación …
Leer másBanner 1
Tren Maya impulsará turismo en zonas arqueológicas en la región sureste del país
El Tren Maya impulsará el turismo en el sureste del país y beneficiará a las comunidades aledañas a las zonas arqueológicas de la región, reafirmó el presidente Andrés Manuel López Obrador. En un mensaje en sus redes sociales destacó que este año se estima que 27 millones de personas hayan …
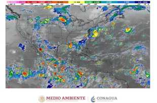
Leer másSe pronostican lluvias muy fuertes en Chiapas, Oaxaca y Veracruz, y fuertes en Chihuahua, Guerrero y Sonora
Para este domingo se pronostican lluvias muy fuertes (de 50 a 75 milímetros [mm]) en regiones de Chiapas, Oaxaca y Veracruz; fuertes (de 25 a 50 mm) en zonas de Chihuahua, Guerrero y Sonora; intervalos de chubascos (de 5 a 25 mm) en Campeche, Ciudad de México, Coahuila, Estado de …
Leer másRealizan con éxito Vacunación para protección de tabasqueños
La Secretaría de Salud lleva a cabo de manera permanente la vacunación prevista dentro del esquema nacional para proteger a la población contra un total de 12 padecimientos. Según las dependencias, estas dosis se tienen disponibles y se suministran en toda la red de centros de salud con que cuenta …
Leer másDía Mundial de la Alimentación
La Organización de las Naciones Unidas para la agricultura y la alimentación, proclamó el 16 de octubre como el Día Mundial de la Alimentación, de igual forma esta fecha coincide con la fecha de fundación de la FAO en 1945. El objetivo de esta conmemoración es aumentar los acontecimientos de …
Leer más«Karl» ocasionará lluvias puntuales intensas alrededor del país
Los remanentes de Karl entraron a tierra alrededor de las 09:30 horas de este sábado en la costa entre Tabasco y el sur de Veracruz ocasionando lluvias en el Golfo de México. Para este sábado, la nubosidad del post ciclón provocará precipitaciones puntuales intensas en regiones de Chiapas, Oaxaca y …
Leer másLOS FACTORES DE RIESGO DEL CÁNCER DE MAMA
OCTUBRE, MES DE LA LUCHA CONTRA EL CÁNCER DE MAMA Ser mujer y hacerse mayor de edad son dos de los riesgos mayormente asociados con la enfermedad. La mayoría de los casos se detectan en mujeres de 50 años o más, no obstante cada vez son más las jóvenes que …
Leer másEjército y Fuerza Aérea Listos con Plan DN-III-E
La 30 Zona Militar tiene disponible el equipo humano, y contará con el apoyo de otras zonas pertenecientes a la VII Región Militar para ayudar a la población ante el paso del huracán Karl, confirmó el comandante Cristóbal Lozano Mosqueda Villahermosa El Ejército y Fuerza Aérea Mexicanos, a través de …
Leer másGasoductos harán de Tabasco una potencia industrial: Gobernador
El mandatario estatal aseveró, en el marco de la inauguración de la Expo Industrial Canacintra Tabasco 2022, que la entidad tiene amplio margen de crecimiento, en tiempos donde las zonas industriales del Centro, Occidente y el Norte batallan por la escasez de agua y gas natural Villahermosa Al inaugurar la …
Leer más“Ejército y Fuerza Aérea Mexicanos, preparados, equipados y adiestrados, para aplicar Plan DN-III-E en Tabasco”
El Ejército y Fuerza Aérea Mexicanos, a través de las Comandancias de la VII Región y Trigésima Zona Militares, informa al público en general, que ante el pronóstico de lluvias de la Tormenta Tropical “Karl” mantiene instalado y en sesión permanente el Centro Coordinador de Operaciones, para que personal militar …
Leer más
Novedades de Tabasco El diario mas fuerte de Tabasco