Están dispuestos a ayudar con recursos y esfuerzo a las diversas áreas del nosocomio Dr. Rodolfo Nieto Padrón, que atiende pacientitos del sureste del país que llegan con problemas severos en el corazón, entre otros padecimientos Eduardo Beltrán Villahermosa Con la finalidad de ayudar a los pequeños enfermos de diversos …
Leer másBanner 1
Lanza Salud aviso Epidemiológico de Hepatitis de Etiología desconocida
A través de una reunión virtual, la Dirección General de Epidemiología lanzó un aviso sobre la enfermedad de origen desconocido que ya se ha manifestado en casos en Argentina y Panamá; los primeros casos se reportaron en países como España, Israel, Dinamarca, Italia, Estados Unidos, Indonesia y Bélgica Villahermosa La …
Leer másAfilia IMSS a los dos primeros trabajadores guatemaltecos que recibirán los beneficios de la seguridad social
El director general del Instituto Mexicano del Seguro Social (IMSS), Zoé Robledo, informó que ayer 5 de mayo fue un día histórico para la seguridad social de América Latina, ya que en la oficina del Instituto en Tapachula, Chiapas, fueron afiliados los dos primeros trabajadores fronterizos con Clave Única de …
Leer másContinuará onda de calor en Tabasco, alerta IPCET
El Instituto de Protección Civil del Estado de Tabasco (IPCET) reporta que los efectos del sistema de alta presión en niveles medios de la atmósfera, mantendrá temperaturas vespertinas elevadas así como ambiente caluroso a muy caluroso en la entidad, por lo que exhortó a la población tomar medidas preventivas. Indicó …
Leer másAMLO reafirma compromiso con Guatemala de atención a las causas del fenómeno migratorio
Al iniciar la gira de trabajo por Centroamérica y el Caribe, el presidente Andrés Manuel López Obrador visitó Guatemala para reunirse con su homólogo, Alejandro Giammattei Falla. El jefe del Ejecutivo refrendó la colaboración del Gobierno de México al pueblo de Guatemala en la atención a las causas del fenómeno …
Leer másDestaca Jaime Lastra Bastar “tiempo de transformación”
El presidente de la Junta de Coordinación Política del Gobierno del Estado (Jucopo) fue el orador oficial en el acto conmemorativo por el 160 aniversario de la Batalla de Puebla Villahermosa México vive hoy una etapa de transformación y de rescate de nuestra esencia, con un presidente como Andrés Manuel …
Leer másAumenta en Tabasco el número de hogares gobernados por mamás
10 de mayo, Día de las Madres De acuerdo con la Encuesta Nacional de los Hogares de 2021, Tabasco es el doceavo lugar nacional con más responsables de viviendas mujeres, que representa el 27% del total de las mismas Villahermosa La mujer tabasqueña tiene cada vez más un mayor peso …
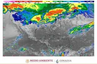
Leer másLa onda de calor provocará temperaturas de 40 a 45 grados Celsius
Hoy, un sistema anticiclónico situado en niveles medios de la atmósfera, mantendrá la onda de calor que afecta a la mayor parte de la República Mexicana, con ambiente vespertino de caluroso a muy caluroso; se pronostican temperaturas máximas de 40 a 45 grados Celsius en Campeche, Chiapas, Coahuila, Durango, Guerrero, …
Leer másAMLO conmemora 160 Aniversario de la Batalla de Puebla
El presidente Andrés Manuel López Obrador encabezó la ceremonia del 160 Aniversario de la Batalla de Puebla. Durante su discurso en el Mausoleo del General Ignacio Zaragoza en ese estado, el mandatario recordó la defensa del país ante la invasión del ejército francés y reafirmó que Benito Juárez García fue …
Leer másBiby Gaytán celebra sus 50 años
Como toda una reina, Biby Gaytán se lució en la porta de una conocida revista de sociales, en la que celebró sus 50 años y demostró que la edad es sólo un número, pues aún se ve radiante y espectacular. La actriz y cantante no para de sorprender a sus …
Leer más
Novedades de Tabasco El diario mas fuerte de Tabasco