Luego de presuntamente comer una galleta envenenada que aventaron para su perro, Valeria, de casi dos años, falleció intoxicada en el municipio de Tototlán. La niña compartió el alimento con otra pequeña de seis años, la cual aún se encuentra delicada de salud. Los hechos se registraron el pasado jueves …
Leer másEstados
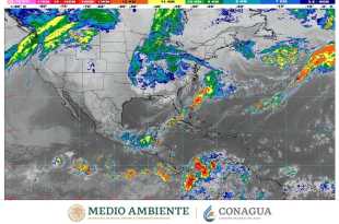
El frente número 28 generará lluvias muy fuertes en el sureste de México y fuertes en la Península de Yucatán
Para este lunes, el frente número 28, se extenderá como estacionario sobre el sureste de México y la Península de Yucatán, provocando lluvias puntuales muy fuertes (de 50 a 75 milímetros [mm]) en Chiapas, y fuertes (de 25 a 50 mm) en Campeche, Quintana Roo, Tabasco y Yucatán. El sistema …
Leer másCarreterazo en la Cancún-Mérida deja 14 fallecidos y 28 lesionados
Un saldo preliminar de 14 pasajeros fallecidos y 28 más lesionados arrojó el choque y posterior volcadura en la autopista Cancún-Mérida, entre un autobús de la empresa ADO y un volquete al servicio de las obras del Tren Maya. El accidente ocurrió minutos antes de las 11 de la mañana …
Leer másSe pronostican ambiente de muy frío a gélido y lluvias en los estados del norte, noreste y centro de México
Para la mañana de este viernes, se pronostica ambiente de muy frío a gélido en los estados del norte, noreste y centro de México, y condiciones para la caída de aguanieve o nieve en sierras de Coahuila, Nuevo León, y en cimas montañosas con altitudes superiores a 4 mil metros …
Leer másPiden a víctimas de la L-12 firmar acuerdo
La fiscal, Ernestina Godoy, llamó a las víctimas que no han aceptado el acuerdo reparatorio por el caso del colapso del tramo elevado de la estación Olivos a apegarse al convenio para poder cerrar el caso y comenzar con la rehabilitación integral de la Línea Dorada. Los afectados que no …
Leer másContinúan las condiciones para la caída de aguanieve o nieve en las sierras de Chihuahua, Coahuila, Durango, Sinaloa y Sonora
Para este jueves, prevalecen las condiciones para la caída de aguanieve o nieve en zonas serranas de Chihuahua, Coahuila, Durango, Sinaloa y Sonora, serán generadas por la Quinta Tormenta Invernal, que recorrerá el sur de Estados Unidos cerca de la frontera noroeste y norte de México, en interacción con la …
Leer másSe pronostica caída de aguanieve o nieve en las sierras de Baja California, Chihuahua, Durango, Sinaloa y Sonora
Este día, la Quinta Tormenta Invernal se ubicará sobre el noroeste de México, y en interacción con la corriente en chorro polar, el Frente Frío Número 28 y su masa de aire, ocasionarán lluvias fuertes (de 25 a 50 milímetros [mm]) en Chihuahua, Coahuila, Durango, Sinaloa y Sonora, y chubascos …
Leer másEste martes se pronostica la formación de una Tormenta Invernal en el noroeste de México
Para este martes el nuevo Frente Frío Número 28, sobre Baja California y Sonora interaccionará con una vaguada polar, lo cual dará origen a una nueva Tormenta Invernal, condiciones que generarán descenso de temperatura, lluvias aisladas y rachas fuertes de viento con tolvaneras en el noroeste de México, así como …
Leer másHoy lunes, se pronostican chubascos en Chiapas, Oaxaca, el sur de Quintana Roo y Tamaulipas
Para este lunes, se prevén intervalos de chubascos (de 5 a 25 milímetros [mm]) en Chiapas, Oaxaca, el sur de Quintana Roo y Tamaulipas, y lluvias aisladas (de 0.1 a 5 mm) en Campeche, Coahuila, Guerrero, Nuevo León, Veracruz y Yucatán. Se pronostica viento con rachas de 60 a 70 …
Leer másEsta mañana, se prevé ambiente de frío a muy frío en los estados de la Mesa del Norte y la Mesa Central
Para este domingo, se prevé ambiente de frío a muy frío durante la mañana y noche en los estados de la Mesa del Norte y la Mesa Central, con heladas en zonas altas y ambiente extremadamente frío en sierras de Chihuahua. Además de posible caída de aguanieve o lluvia engelante …
Leer más
Novedades de Tabasco El diario mas fuerte de Tabasco